Wohn-Grundstück in Bad Honnef

Bad Honnef-Wülscheid- Interessantes Baugrundstück mit mehreren Optionen. Aufteilung möglich!

Anfragen bisher

Premium

Meine Chancen

Premium

Fairer Preis

Premium

470.000 €

Kaufpreis

53604 Bad Honnef

Gewerblicher Anbieter

Volksbank Köln Bonn eG
Heinemannstraße 15
53175 Bonn

Details

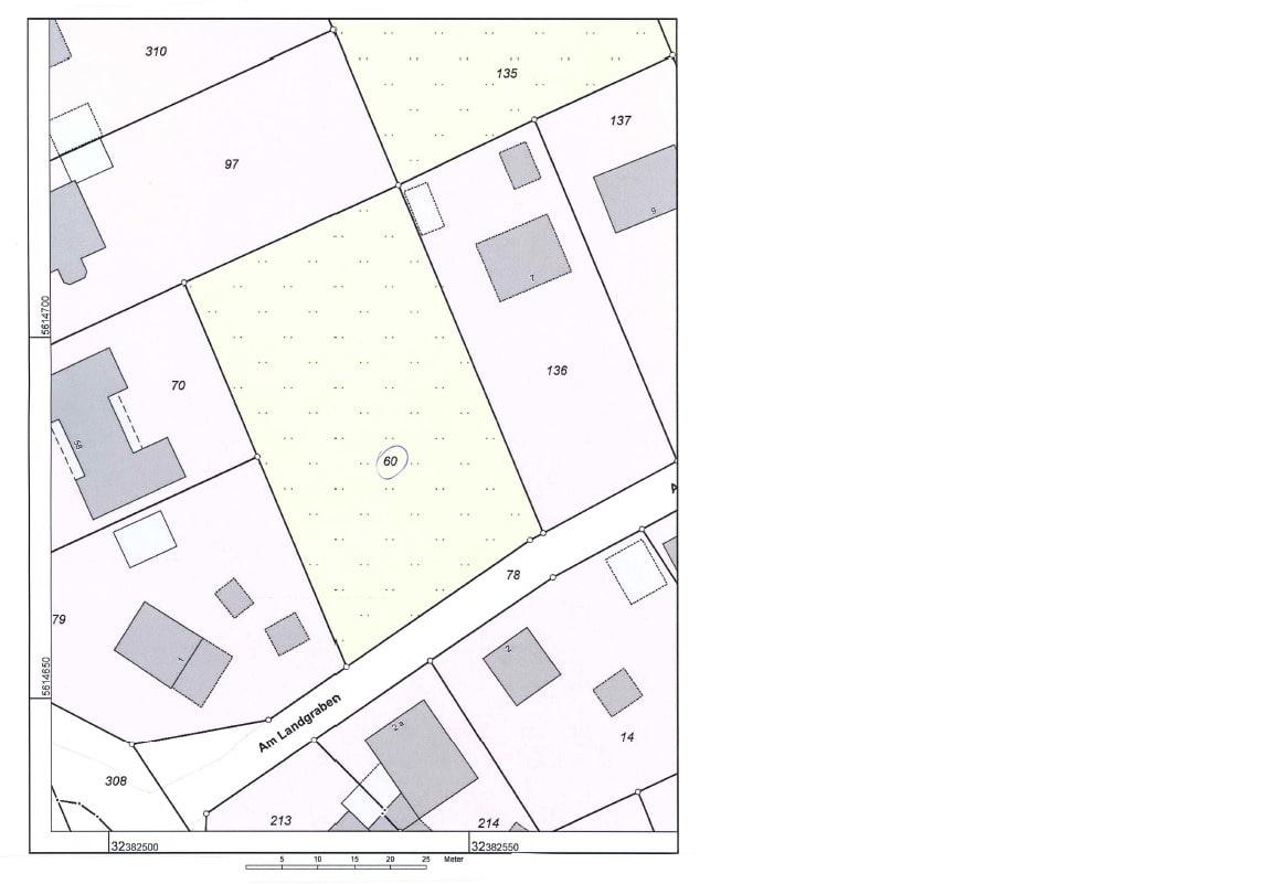
Grundstücksfläche
1.780 m²
Typ des Grundstücks
Wohn-Grundstück

Kosten

Kaufpreis
470.000 €
Käuferprovision
3,57 %
Was kostet dein Umzug?

Objektbeschreibung

Zum Verkauf steht ein schön gelegenes, sonniges Baugrundstück mit einer Fläche von 1.780 m².


Eine Aufteilung in zwei Parzellen ist derzeit möglich!


Durch seine Größe und den vorteilhaften Zuschnitt bietet das Grundstück vielfältige Möglichkeiten für z.B. den Bau eines Einzelhauses und zweier Einfamilienhäuser als Doppelhaushälften oder sogar eines Doppelhauses und zwei Einzelhäuser.


Die Bebauung richtet sich nach § 34 und muss sich in das Bild der näheren Umgebung einfügen. Diese ist geprägt durch eine aufgelockerte Bebauung mit überwiegend eineinhalb- bis zweigeschossigen Einfamilienhäusern, häufig mit ausgebautem Dachgeschoss.


Hierfür liegen bereits genehmigte Bauvoranfragen vor.


Bausubstanz & Energieausweis

Heizungsart
Sonstige

Lagebeschreibung

Bad Honnef ist eine charmante kleine Mittelstadt im Rhein-Sieg-Kreis in Nordrhein-Westfalen. Mit seinen knapp 26.061 Einwohnern und der Nähe zur Bundesstadt Bonn ist Bad Honnef ein attraktiver Wohnort für alle, die eine ländliche Idylle mit Stadtleben verbinden möchten.


Das Grundstück befindet sich in Höhenlage von Bad Honnef im Ortsteil Wülscheid, ca. 2,5 km von Aegidienberg und der A3 Auffahrt entfernt.


Im angrenzenden Siebengebirge mit Naherholungswert können Sie ausgedehnte Spaziergänge oder Fahrradtouren in der gesunden Natur unternehmen.


Kindergarten, Grundschule, Einkaufsmöglichkeiten, Ärzte, Apotheke und Banken finden Sie im nahe gelegenen Aegidienberg oder in Rottbitze. Weiterführende Schulen gibt es entweder in Bad Honnef, in Königswinter, in Oberpleis oder in Bonn.


Für sportlich Interessierte hält die Umgebung ein großes Angebot bereit, u.a. einen Golfplatz, Tennisanlagen, Reitsportmöglichkeiten, diverse Sportvereine u.v.m.


Verkehrsgünstige Lage: Nur wenige Minuten zur A3 und ca. 30 Min. zum Flughafen Köln/ Bonn. In knapp 20 Minuten sind Sie in Bonn oder in Siegburg ICE, Köln erreichen Sie in ca. 30 Minuten. Frankfurt ist in einer Stunde erreicht.


Sonstige Angaben

Bei allen Fragen zur Immobilie wenden Sie sich an unseren Berater, Herrn Guido Hild, unter der Rufnummer 0228/716 42480.
Unsere Baufinanzierungsspezialistin, Frau Simona Simons, steht Ihnen für eine unverbindliche Finanzierungsberatung unter der Rufnummer 0228/716 42482 zur Verfügung.


Wohnung finden so einfach wie möglich - das ist unsere Mission!

Kostenlose Basic Features

0 € monatlich


  • Individuelles Such-Profil anlegen
  • Suchaufträge speichern
  • One-Klick Kontaktaufnahme

alles anzeigen

Jetzt kostenlos anmelden

Premium Features

19,99 € monatlich


  • Alle kostenlosen Features
  • Smart-Alarm per Whatsapp
  • Deine Chancen checken
  • Wohngegend analysieren

alles anzeigen

Jetzt Premium freischalten

Gewerblicher Anbieter

Volksbank Köln Bonn eG
Heinemannstraße 15
53175 Bonn

Wohnglück-ID:
Objekt-Nr.:
WGL-890799
2989