Gewerbe-Grundstück in Muldestausee (Schlaitz)

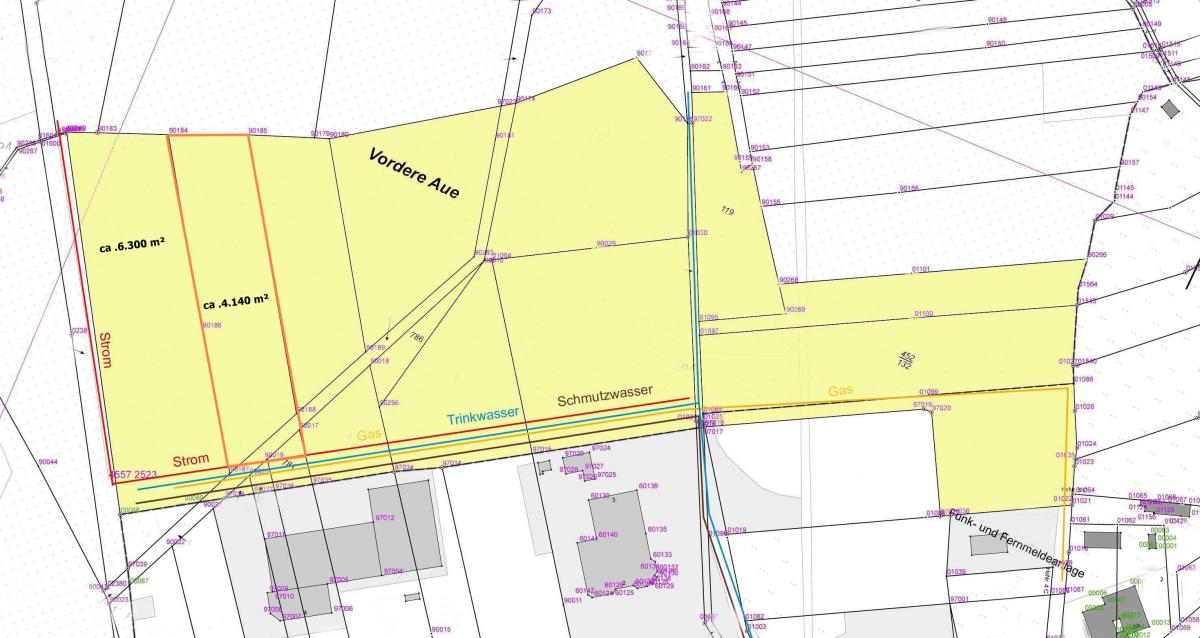
ca. 4.140 m² großes Gewerbegrundstück mit großem Entwicklungspotential; Flächennutzungsplan vorhanden

Anfragen bisher

Premium

Meine Chancen

Premium

Fairer Preis

Premium

350.000 €

Kaufpreis

06774 Muldestausee

Gewerblicher Anbieter

IC IMMOCONSULT e.K.
Hillerstraße 3
04109 Leipzig

Details

Grundstücksfläche
4.140 m²
Typ des Grundstücks
Gewerbe-Grundstück
Bezugsfrei ab
sofort

Kosten

Kaufpreis
350.000 €
Käuferprovision
7,14%
Der Käufer verpflichtet sich, bei Abschluss eines Kaufvertrags eine einmalige Maklerprovision in o.g. Höhe aus dem Gesamtentgelt für das Auftragsobjekt an den Makler zu zahlen. Die Provision wird bei Vertragsabschluss fällig. Als Vertragsabschluss gilt die Beurkundung des Kaufvertrags.
Was kostet dein Umzug?

Objektbeschreibung

Zum Verkauf steht ein ca. 4.140 m² großes Grundstück am Muldestausee/Goitzschesee.


Derzeit wird das Grundstück landwirtschaftlich genutzt.



  • Elektro, Erdgas, Wasser und Abwasser liegt an der Straße an


Der Kauf von weiteren Flurstücken ist möglich.


Verschiedene gewerbliche Nutzungen denkbar:



  • Tourismus

  • Naherholung

  • medizinische Einrichtung

  • Pflegeeinrichtung

  • Kinderland

  • Wellness

  • Kinder- und Jugendcamp

  • E-Lade-Park

  • Parkhaus

  • Streichelzoo

  • Lagerhallen

  • Ärztehaus

  • gewerbliches Wohnen

  • nicht störendes Gewerbe


Bausubstanz & Energieausweis

Heizungsart
Sonstige

Lagebeschreibung

Der Ortsteil Friedersdorf liegt im Süden von Muldestausee und bietet eine gute Anbindung an öffentliche Verkehrsmittel (Bus). Einkaufsmöglichkeiten, Tankstelle, Schulen sind in wenigen Gehminuten erreichbar.


Muldestausee ist eine charmante Kleinstadt in Sachsen-Anhalt mit einer Vielzahl von Freizeit- Sport- und Erholungsmöglichkeiten.


Besonders sehenswert sind der Muldestausee und der Goitzschesee, der sich in ca. 400 m von dem Grundstück befinden.
Ein beliebtes Ausflugsziel ist das "Seensuchts-Resort" am Goitzschesee, welches zum Speisen und Erholen einlädt.


Die Nähe zu Leipzig, Halle und Bitterfeld (ca. 4,5 km) bietet zudem die Möglichkeit, von einem breiten kulturellen Angebot und guten Arbeitsmöglichkeiten zu profitieren.


Sonstige Angaben

Die von uns gemachten Angaben haben wir nach bestem Wissen und Gewissen nach Informationen des Vermieters/Verkäufers und den uns übergebenen Informationen zusammengestellt. Eine Gewähr für diese Angaben können wir nicht übernehmen. Wichtige Zahlen und Informationen sind am Objekt zu überprüfen.
Zwischenvermietung/Verkauf bleibt vorbehalten.


Wohnung finden so einfach wie möglich - das ist unsere Mission!

Kostenlose Basic Features

0 € monatlich


  • Individuelles Such-Profil anlegen
  • Suchaufträge speichern
  • One-Klick Kontaktaufnahme

alles anzeigen

Jetzt kostenlos anmelden

Premium Features

19,99 € monatlich


  • Alle kostenlosen Features
  • Smart-Alarm per Whatsapp
  • Deine Chancen checken
  • Wohngegend analysieren

alles anzeigen

Jetzt Premium freischalten

Gewerblicher Anbieter

IC IMMOCONSULT e.K.
Hillerstraße 3
04109 Leipzig

Wohnglück-ID:
Objekt-Nr.:
WGL-828131
400k5#L48r42